皇冠信用网如何申请_上海明后天将有大暴雨,或为1981年以来11月最大降雨
皇冠信用网在线注册(输入9990088.com)皇冠_官方信用网线上直营平台,皇冠信用网代理帐号申请、信用网会员注册受今年第21号台风“康妮”外围环流和冷空气共同影响,31日傍晚到11月1日,上海市有大暴雨,过程雨量120~180毫米,东南部可达220~280毫米,最大小时雨强40~70毫米,降水具有极端性,有可能成为1981年以来11月最大降水过程;31日夜里起风力逐渐增大,11月1日最大陆地阵风8~9级,洋山港区阵风10~11级皇冠信用网如何申请。
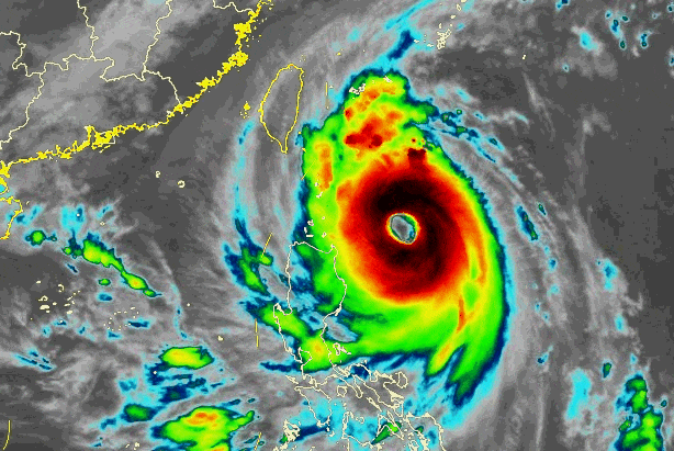
台风“康妮”动态:加强为超强台风皇冠信用网如何申请,逐渐向台湾岛靠近

今年第21号台风“康妮”,今天早晨增强为超强台风,11时其中心位于距离台湾省台东市东南约520公里的太平洋洋面上,中心附近最大风力有17级,中心最低气压为925百帕,七级风圈半径380~480公里皇冠信用网如何申请。
预计“康妮”将以每小时15~20公里的速度向西北方向移动,强度还将有所增强,将于31日中午到下午在台湾岛南部或中部登陆,尔后沿浙闽沿海一带近海北上(也可能在上述沿海地区登陆或擦过),强度迅速减弱皇冠信用网如何申请。

台风外围联手冷空气皇冠信用网如何申请,周四傍晚至周五大暴雨

展开全文
降水预报:注意防范大暴雨
受“康妮”外围环流和冷空气共同影响,10月31日下午起上海市将出现阵雨天气,傍晚开始雨势增强,强降水将持续到2日凌晨,降水集中时段出现在31日半夜至11月1日白天皇冠信用网如何申请。过程累积雨量大暴雨(120~180毫米),上海市东南部地区雨量更显著(局部可达220~280毫米),可能成为上海市1981年以来11月最大降水过程。
注意防范大风
31日夜里起上海市风力逐渐增大,11月1日最大陆地阵风8~9级,高层建筑及沿江沿海地区阵风9~10级,洋山港区阵风10~11级,2日下午风力逐渐减弱皇冠信用网如何申请。
天气提示
台风影响前可适量储备饮用水和食物皇冠信用网如何申请。台风影响期间尽量减少外出。
防范大风皇冠信用网如何申请。妥善收起室外物品,防止高空坠物。不要在临时建筑物附近躲避风雨,车辆停靠远离大树等。
此次过程具有极端性,强降水可能造成局部积水,如在户外注意不要轻易涉水皇冠信用网如何申请。
“康妮”影响期间正值天文大潮期,注意提防风暴增水影响,低洼处有需注意防范皇冠信用网如何申请。
此次过程对交通有较大影响,注意及时了解出行信息皇冠信用网如何申请。
注意及时了解预报预警信息皇冠信用网如何申请。
后期天气趋势:下周冷空气影响皇冠信用网如何申请,气温进一步下降
明天上海逐渐受到“康妮”外围影响,云系增多,下午开始转雨,全天气温在18~23℃之间皇冠信用网如何申请。明天夜间到周五降雨明显,同时风力增大。降雨和冷空气影响,周五和周六气温下降,最高气温仅20℃。周日上海天气恢复平静。下周还有一次冷空气过程,上海以多云天气为主,气温进一步下降。

猜你喜欢
- 2026-05-09皇冠信用网怎么申请_DeepSeek大范围开放了识图模式,正式跨入图文交互时代
- 2026-05-09皇冠信用网代理申请_北京:下班早回家!今天下午局地有冰雹+雷阵雨
- 2026-05-09皇冠信用账号怎么开_霍尔木兹海峡,最新消息传出
- 2026-05-09皇冠信用网会员账号_一年只卖出2763万台,开机还要看广告,中国家庭的电视正在集体“吃灰”
- 2026-05-09正版皇冠信用开户申请_女子网购红酒后起诉索赔23万元,法院:仅支持生活所需部分十倍赔偿
- 2026-05-08皇冠信用网出租足球_王楚钦凌晨发文:不提倡也不会参与任何生日应援活动,呼吁“多关注比赛就是对我最好的支持”
- 2026-05-08正版皇冠信用网代理_浙江二婚夫妻结婚不到10天,妻子扇自己耳光,丈夫把妻子收藏的30多瓶酒砸光,还用菜刀砍自己手指,因为桌子底下一点脏东西最后闹到要离婚
- 2026-05-07正版皇冠信用网开户_客流、热度、营收齐涨 这个“五一”深圳坪山靠什么圈粉游客
- 2026-05-07如何代理皇冠信用_“坐囚车戴罪枷游街”引关注,杭州宋城客服:系互动节目,游客自愿参与
- 2026-05-07皇冠信用网怎么开户_女子在广东一酒店露台私人温泉泡汤时突然有无人机飞过,酒店最新回应:其他房客的小孩放飞,未开启拍摄功能,警方已进行处罚
- 2026-05-07世界杯足球平台代理_梁靖崑不敌世界排名第41位选手 中国男乒逆转晋级
- 2026-05-06篮球巨星的励志故事_男子购买高铁票进站时却显示无效,无法上车!同程旅行回应


网友评论